Dysplázia je čoraz častejším ochorením u psov, ktoré je spojené s moderným mestským životným štýlom. Tento problém nie je známy u divých psov, ako sú vlci alebo šakali. V posledných desaťročiach sa však podmienky chovu psov zmenili, čo viedlo k zníženej pohybovej aktivite väčšiny zvierat. To má za následok nadmerný príjem kalórií, obezitu a časté používanie nekvalitného krmiva.
K rozšíreniu choroby kĺbov prispeli aj selektívne, „rodokmeňové“ a neadekvátne šľachtenie. Dysplázia je geneticky podmienené ochorenie pohybového aparátu, ktoré postihuje kĺby bedier, lakťov a ramien. V prípade miernej dysplázie nemusí pes vykazovať žiadne zjavné príznaky.
Dysplázia je dedičná, polygénna (spôsobená viacerými génmi) vývojová porucha. Choroba začína akumuláciou kĺbovej tekutiny, po ktorej nasleduje tvorba kĺbových puzdier. Nakoniec sa kĺb uvoľní, čo vedie k nepresnému uloženiu kĺbových plôch. Od tohto momentu sa môžu kedykoľvek vyskytnúť problémy, pretože voľne zapadajúce kĺby sú náchylnejšie na poškodenie.
Na dyspláziu sú náchylné predovšetkým veľké, obľúbené a prešľachtené plemená psov. Určenie diagnózy komplikuje skutočnosť, že dysplázia nemá špecifické príznaky. Starší pes s dyspláziou môže mať problémy so vstávaním, ale po zahriatí sa jeho pohyb zlepší.

Najčastejšie formy dysplázie
Najčastejšou formou ochorenia je dysplázia bedrového kĺbu (DBK), ktorá je často synonymom pre pojem „dysplázia“. Opotrebovanie chrupavky, degenerácia chrupavky, artritída a artróza bedrového kĺbu sa vyskytujú v nepretržite namáhanom bedrovom kĺbe. Malé psy nie sú ohrozené dyspláziou bedrových kĺbov.
Okrem dysplázie bedrového kĺbu existuje aj dysplázia lakťového kĺbu (DLK) a dysplázia ramenného kĺbu (DRK). Dysplázia lakťa je druhou najčastejšou dedičnou poruchou pohybového aparátu po DBK a postihuje najmä veľké plemená. Kĺbové povrchy humeru a predlaktia v tomto prípade nepriliehajú správne, čo vedie k nadmernému tlaku a nestabilite.
Príznaky dysplázie
Príznaky dysplázie bedrového kĺbu sa môžu líšiť v závislosti od veku psa, závažnosti ochorenia a obmedzenia funkcie kĺbu. Mladé psy môžu vykazovať kolísavú chôdzu, neochotu k pohybu, krívanie, problémy pri vstávaní a slabosť zadných končatín. Svalstvo na zadných nohách sa oslabí, pretože postihnuté psy ich šetria kvôli bolesti. Svaly v oblasti bedrového kĺbu môžu byť tiež bolestivé.
Mierne formy dysplázie lakťa môžu zostať bez príznakov, pričom na röntgenových snímkach sú viditeľné len drobné zmeny. Pes s miernou dyspláziou lakťa bez príznakov môže žiť plnohodnotný život, ale bude aj naďalej prenášať chorobu geneticky.

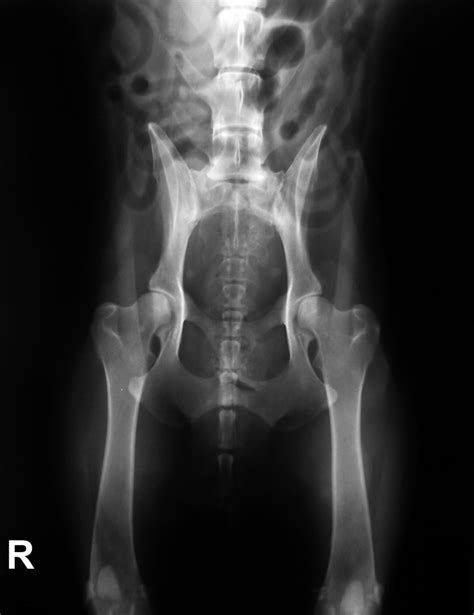
Diagnostika
Diagnostika dysplázie zvyčajne zahŕňa röntgenové vyšetrenie, ktoré sa vykonáva v anestézii. Narkóza je nevyhnutná na uvoľnenie svalov a zabezpečenie správnej polohy pre snímkovanie. Veterinárny lekár môže pomocou röntgenových snímkov vyhodnotiť závažnosť dysplázie a posúdiť zmeny v kĺbe.
Zásadným hodnotiacim kritériom pri DBK je „Norbergov uhol“. U psa bez DBK by mal byť uhol väčší ako 105 stupňov. Ďalšími znakmi dysplázie sú sploštenie kĺbovej jamky alebo hlavice stehennej kosti, vychýlenie krčka alebo hlavice stehennej kosti a príznaky artrózy.
Diagnostika dysplázie lakťa u psov vyžaduje kompletné ortopedické vyšetrenie. Okrem röntgenových snímok môžu pomôcť aj CT vyšetrenia a artroskopia.
Liečba
Existuje niekoľko možností liečby dysplázie bedrového kĺbu, z ktorých žiadna nevedie k úplnému vyliečeniu. Formy liečby môžu zmierniť bolesť a zápal, oddialiť postupovanie artrózy a zlepšiť mechaniku a pohyb kĺbov.
Konzervatívna liečba sa zameriava na zníženie záťaže a podporu kĺbov. V prípade nadváhy je nevyhnutné schudnutie. Odporúča sa kontrolovaný pohyb po mäkkom podklade, napríklad plávanie, a vyhýbanie sa prudkým pohybom, skákaniu a chodeniu po schodoch. Môžu sa použiť protizápalové lieky a lieky proti bolesti, ako aj fyzioterapeutické opatrenia.
Pri praktizovaní pohybovej terapie, ktorá je vhodná pre plemeno a vek vášho psa, je dobré vyhľadať odbornú pomoc. V miernejších prípadoch je dostatočnou podmienkou pre uzdravenie zvieraťa vhodná pohybová terapia spolu so správnou stravou.
Chirurgická liečba ponúka množstvo metód, ktoré sa líšia pre mladé a dospelé psy. V závažných prípadoch, najmä v pokročilých štádiách ochorenia, môže byť potrebná operácia. V mladom veku je chirurgický zákrok často najúčinnejšou možnosťou.
Popri lekárskej starostlivosti môžu pomôcť prírodné látky na ochranu kĺbov a zmiernenie zápalu, ako sú omega-3 mastné kyseliny (EPA, DHA), slávka zelenoústa, kolagénové peptidy, kurkumín, boswellia a kyselina hyalurónová. Pri praktizovaní pohybovej terapie, ktorá je vhodná pre plemeno a vek vášho psa, je dobré vyhľadať odbornú pomoc.

Prevencia
Keďže dysplázia bedrového kĺbu je geneticky podmienená, možno jej zabrániť iba pomocou prísnych chovateľských opatrení. K chovu by mali byť povolené iba psy bez DBK. Zodpovedný chov a skríning rodičov sú kľúčové.
Hoci nie je nesprávne kŕmenie hlavnou príčinou dysplázie, je jedným z hlavných rizikových faktorov, ktorý môže výrazne zhoršiť klinické príznaky ochorenia. Nadmerný príjem vápnika a bielkovín môže spôsobiť dyspláziu a iné muskuloskeletálne poruchy. Preto je zdravá strava s primeraným obsahom energie a minerálnych látok u šteniat veľmi dôležitá.
Majiteľ psa však do istej miery môže pomôcť zabrániť zhoršeniu dysplázie. Najmä u veľkých plemien sa odporúča, aby sa šteniatka príliš nezaťažovali. Správna výživa, udržiavanie ideálnej telesnej hmotnosti a výber správneho pohybu sú nevyhnutné.
Signs of Hip Dysplasia
Dôležité upozornenie: Tento článok slúži len na informačné účely. Nenahrádza odbornú konzultáciu, vyšetrenie alebo liečbu veterinárnym lekárom. V prípade akýchkoľvek zdravotných problémov vášho psa sa vždy poraďte so svojím veterinárom.