Dysplázia bedrového kĺbu (DBK) predstavuje jedno z najčastejšie sa vyskytujúcich ochorení pohybového aparátu u psov. Ide o dedične podmienenú vývojovú anomáliu bedrových kĺbov, ktorá sa vyskytuje u všetkých plemien psov. Pre dyspláziu bedrového kĺbu je charakteristická laxita, čiže voľnosť bedrového kĺbu, jeho abnormálne utváranie a vývoj, ktoré v pokročilom štádiu vyúsťuje do artrózy. Na vznik DBK má u psov vplyv neprimeraná záťaž, nepriaznivé prostredie (nevhodné podlahy a povrchy) a nesprávna výživa v mladom veku. Ochorenie má rôzne stupne a prejavy.
Dysplázia bedrového kĺbu je degeneratívne ochorenie bedrového kĺbu charakterizované nezvratnými zmenami kĺbovej jamky a hlavice stehennej kosti. Jedná sa o dedične podmienené ochorenie, avšak vplyvy vonkajšieho prostredia významne pôsobia na fenotyp bedrového kĺbu. Psy sa s dyspláziou bedrového kĺbu nenarodia, ale majú na to predispozíciu. U postihnutých šteniat sa vo veku okolo dvoch mesiacov objaví „voľný“ bedrový kĺb (subluxácia). Hlavica stehennej kosti nesedí dostatočne pevne v kĺbovej jamke, ale pohybuje sa tam a späť. Nasledujúce zmeny, ako napríklad artróza bedrových kĺbov, vznikajú od veku štyroch mesiacov.
Na vývoj dysplázie vplýva viacero faktorov, od genetiky cez rýchlosť rastu, obezity, nadmernej záťaže v raste až po mikrotraumy rastových zón a mnoho ďalších. Preto je dôležité eliminovať čo najviac negatívnych vplyvov od výberu rodičov bez známok dysplázie až po kvalitné krmivo pre šteniatka vo fáze rastu. Práve nevyvážené krmivo s vysokou energetickou hodnotou a príliš vysokou hladinou vápnika môže spôsobiť veľa ortopedických problémov. Avšak ani pri tej najlepšej starostlivosti nie je možné vyhnúť sa rozvoju degeneratívnych ochorení bedrových kĺbov.
Plemenná predispozícia
Dysplázia bedrového kĺbu (DBK) psov postihuje najmä obrie a veľké plemená, ako nemecký ovčiak, novofundlandský pes, bernský salašnícky pes, mastif, rotvajler, zlatý retriever, labradorský retriever, hovawart, leonberger atď, ale objaviť sa môže u akéhokoľvek plemena. Rovnakou mierou sa vyskytuje u oboch pohlaví. Dysplázia bedrového kĺbu sa vyskytuje predovšetkým u stredne veľkých a veľkých plemien psov, malé plemená postihuje len zriedka. U plemien, ako sú zlatý a labradorský retríver, bernský salašnícky pes, boxer, rotvajler, nemecký ovčiak a bernardín sa vyskytuje často, zriedkavo u plemena anglický chrt alebo barzoj.

Klinické príznaky
Príznaky dysplazie bedrového kĺbu (DBK) u psov sú veľmi rôznorodé od opatrnej chôdze, cez rôzne stupne krívania, neochotu vstávať, celkovú neochotu k pohybu, vyhýbavosť voči prekážkam, slabosť zadných končatín. Zhoršenie stavu nastáva po záťaži. Klinické príznaky ochorenia nemusia vždy korešpondovať so stupňom postihnutia, to znamená že napr. aj u zvieraťa s ťažším stupňom môžu byť v začiatkoch klinicky menej výrazné. Naopak aj zviera s miernym stupňom DBK môže vykazovať výrazné odchýlky v mechanike pohybu. Často sa stáva, že majiteľ si v začiatkoch vysvetľuje neochotu k pohybu len lenivosťou, slabším temperamentom, prípadne únavou zvieraťa. Mnohé psy s miernou formou dysplázie bedrového kĺbu často vykazujú príznaky, ako je krívanie, až v starobe.
Klinicky sa DKK u mladých psov (3-12 mesiacov) prejavuje neochotou k pohybu, veľmi pomalým vstávaním, krívaním, problémami s chôdzou do schodov, skákaním z výšky a problémami s naskočením do auta. Niekedy je možné počuť zvláštny klikanie pri chôdzi. U starších psov sa ochorenie DKK prejavuje predovšetkým výrazným krívaním.
Mladé psy vo veku od štyroch do ôsmich mesiacov môžu mať kolísavú chôdzu naširoko a neochotu k pohybu. V ďalšom priebehu sa u psov prejavuje krívanie, problémy pri vstávaní a slabosť zadných končatín. Svalstvo na zadných nohách sa oslabí, pretože postihnuté psy ich šetria kvôli bolesti. Svaly nachádzajúce sa v oblasti bedrového kĺbu môžu byť tiež bolestivé v dôsledku svalových kontraktúr.
Diagnostika
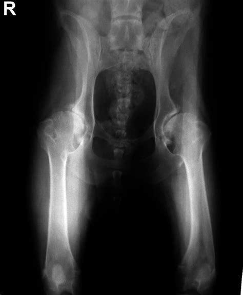
Ochorenie sa dá zdiagnostikovať a určiť stupeň dysplázie jedine RTG vyšetrením vykonanom v celkovej anestézii na oficiálne schválenom RTG pracovisku. Od 12 týždňov veku je možné vykonať tzv. rannú diagnostiku DBK. V prípade podozrenia na dysplaziu sa diagnostika vykonáva ihneď bez ohľadu na vek. Pre účely chovnosti je jedinec vyšetrovaný po dosiahnutí určitého veku (v závislosti od plemena od 12,18, či 24 mesiacov ).
Diagnostika DKK je podľa noriem Medzinárodnej Kynologické Federácie (FCI) vykonávaná rentgenologicky. Podľa tejto metódy sa diagnostikuje DKK vo všetkých krajinách, ktoré sú členmi FCI (väčšina európskych krajín, Rusko, Južná Amerika a Ázia). V USA a Kanade je používaná odlišná norma - OFA (Orthopedic Foundation for Animals) a vo Veľkej Británii, Írsku, Novom Zélande a v Austrálii je používaná norma BVA / KC (British Veterinary Association / Kennel Club). Podľa noriem FCI je röntgenologické vyšetrenie vykonávané vo veku 12-18 mesiacov. Pri jednotlivých plemien psov je určený vek, v ktorom je vyšetrenie vykonávané, záväznými podmienkami príslušného chovateľského klubu.
Pri vyšetrení sa sleduje laxicita kĺbov a následne pri röntgenologickom vyšetrení sa meria miera pohyblivosti kĺbovej hlavice ku kĺbovej jamke. Dysplázia bedrového kĺbu sa medzinárodne označuje ako HD (hip dysplasia). Vyhodnocuje sa ľavý i pravý kĺb, zápisy HD 0/0 alebo HD A/A predstavujú zdravé kĺby bez nálezu. Čím vyššie číslo (resp. písmeno), tým vyšší stupeň dysplázie.

Kedy je správny čas na vyšetrenie a prvú kontrolu?
U predisponovaných plemien, šteniatok veľkých psov a šteniatok s neistou chôdzou zadných labiek sa prvé ortopedicko-röntgenologické vyšetrenie odporúča vykonať vo veku 13-16 týždňov. Pre úspešnú chirurgickú liečbu by malo byť vyšetrenie vykonané oveľa skôr, optimálne vo veku 3-4 mesiacov. Aby prípadná liečba bola naozaj efektívna, odporúča sa vziať šteňa na preventívnu prehliadku najneskôr do 7. mesiaca života.
Chirurgické možnosti prevencie
Chirurgická terapia tzv. juvenilná pubická symfyziodéza (JPS) spočíva v znefunkčnení rastu v rastovej zóne panvy. Keďže ostatné časti panvy budú rásť normálnou rýchlosťou, dôjde k väčšiemu prekrytiu hlavice stehennej kosti panvou a tým k stabilizácií bedrového kĺbu. Väčšina psíkov má tak zabezpečený život bez dysplázie. V niektorých prípadoch sa môže dysplázia vyskytnúť v neskoršom veku aj napriek zákroku, ale ochorenie je aspoň oddialené a je predĺžený bezbolestný pohyb.
Tento zákrok je nutné vykonať najneskôr do veku 16 týždňov, nakoľko v tomto období dochádza k najrýchlejšiemu rastu panvy. Vo vyššom veku nemusí mať operácia žiadaný benefit. Ak sa toto časové obdobie zameškalo, stále existujú ďalšie možnosti prevencie. Ako každá prevencia DBK, aj táto je časovo ohraničená. Ďalšie vyšetrenie sa vykonáva u mladých psíkov do veku 8 mesiacov.
Ak sa vyskytnú náznaky kĺbovej nestability a vyskakovania bedrovej hlavice z kĺbovej jamky, je potrebné RTG vyšetrenie. Ak je nález na röntgenograme pozitívny a existujú známky nestability, ale žiadne degeneratívne a artrotické zmeny, aj v tomto prípade je jedinou možnosťou prevencie chirurgia.
Vo veku 6-8 mesiacov sú odskúšané možnosti prevencie TPO alebo DOP. Ide o rotáciu jamky bedrového kĺbu v pomere ku hlavici stehennej kosti. Dochádza tak k lepšiemu prekrytiu hlavice stehennej kosti a zamedzeniu jej vyskakovania. Zároveň tiež k zamedzeniu neskoršieho rozvoja DBK alebo úplnému zabráneniu jeho vzniku. Voľba chirurgickej metódy závisí od veku a veľkosti pacienta.
Všetky tri sú preventívne metódy terapie DBK, tzn. že sa musia vykonať ešte pred rozvojom ochorenia.
Možnosti terapie pri rozvinutom ochorení
V prípade, že sú už príznaky ochorenia rozvinuté, tak bolestivosť je neúnosná. Na potvrdenie, lokalizáciu a určenie miery rozvoja DBK sa vykonáva minimálne RTG vyšetrenie a v niektorých prípadoch sa odporúča CT.
Na Slovensku je najčastejším spôsobom terapie pri rozvinutej DBK medikamentózny spôsob. Táto liečba nezabráni ďalšiemu rozvoju DBK, ale psíkovi pomáha lepšie zvládnuť bolesť a znižuje zápalovú reakciu v kĺbe. Z dlhodobého hľadiska je finančne náročná a má zlú prognózu.
Pri rozvinutých artrotických zmenách a nadmernej bolestivosti je najlepšou možnosťou resekcia hlavice stehennej kosti. Odstráni sa tak zdroj bolesti a funkciu kĺbu preberie jazvovité tkanivo. Táto možnosť je ohraničená hmotnosťou, pretože u extrémne obéznych a ťažkých zvierat sa neodporúča.
Jednou z posledných metód využívaných vo svete sú tzv. titánové kĺby. V tomto prípade sa postihnutý kĺb nahradí novým titánovým implantátom.

Rehabilitácia je dôležitá
Dôležitou súčasťou manažmentu dysplázií je rehabilitácia. V raste je dysplázia chirurgická diagnóza a fyzioterapia sa po zákroku zameriava na posilnenie podporných štruktúr kĺbu a posilnenie svalov. U dospelých psíkov je fyzioterapia prioritná. Jej cieľom je predĺžiť bezbolestný a aktívny život bez nutnosti užívania liekov proti bolesti a oddialiť chirurgický zákrok. Nevyhnutné je udržiavať správnu hmotnosť. Ako ideálne riešenie tréningu dysplastických psov sa osvedčil vodný trenažér, ktorý máme k dispozícii aj vo veterinárnej nemocnici Anima.
Pri výskyte podozrenia na dysplaziu je potrebné absolvovať RTG vyšetrenie na skoré zachytenie ochorenia. Ak teda pozorujete príznaky, čím skôr sa objednajte a náš veterinárny lekár vášho psíka vyšetrí a zaháji príslušnú liečbu.
Aké sú dobré cviky pre psa s dyspláziou bedrového kĺbu? | Odpovede Dr. Wootena...
Prevencia
Prevencia spočíva v používaní len negatívnych jedincov v chove, v správnej výžive, v zabezpečení vhodného prostredia a nepreťažovania mladých jedincov. Počas vývoja je vhodné preventívne podávať chondroprotektíva so zložením určeným pre mladé rastúce jedince. Psy, ktorý nemajú genetickú predispozíciu nemôžu trpieť týmto ochorením. Faktory, akými sú vysoká telesná hmotnosť alebo rýchly rast môžu DBK zosilniť, a preto je zdravá strava s miernym energetickým obsahom a prispôsobeným podielom minerálnych látok u šteniat taká dôležitá. Príliš vysoký obsah energie alebo vysoký príjem minerálov, ako napr. vápnika, môže mať na dyspláziu bedrového kĺbu negatívny vplyv.
Pre zdravý vývoj kĺbu je nutné podávať glukosamín sulfát, chondroitín sulfát, MSM a hydrolyzovaný kolagén, ktoré sú obsiahnuté napríklad v prípravku Apto-flex. Nadmerný príjem vápnika a bielkovín môže spôsobiť dyspláziu a iné muskuloskeletálne poruchy (napr. oddelenie chrupavky, artróza). Je dôležité upraviť pohybový režim a vyhnúť sa extrémnej záťaži či iným náročným aktivitám. Fyzioterapia je pri tomto ochorení veľmi žiaduca a výrazne zlepšuje stav pacienta. U mladého psa sa dáva dôraz na správne osvalenie, predovšetkým svalových skupín v okolí bedrového kĺbu.
Odporúčam používať nešmykľavé povrchy, ak to nie je možné všade - aspoň v miestach kde sa pes najviac zdržuje (pri pelechu, miske, kde najčastejšie vstáva…). Záťaž psa by mala byť primeraná tzv. po aktivite treba sledovať či pes viac nekríva alebo nie je príliš unavený či javí známky bolesti.
| Stupeň (FCI) | Označenie | Popis |
|---|---|---|
| A | 0 | Bez príznakov dysplazie |
| B | 1 | Hraničná dysplázia |
| C | 2 | Mierna dysplázia |
| D | 3 | Stredná dysplázia |
| E | 4 | Ťažká dysplázia |