Dysplázia bedrových kĺbov (DBK) predstavuje jedno z najčastejšie sa vyskytujúcich ochorení pohybového aparátu u psov. Jedná sa o dedične podmienenú vývojovú anomáliu bedrových kĺbov, ktorá sa vyskytuje u všetkých plemien psov. Pre dyspláziu bedrových kĺbov je charakteristická laxita čiže voľnosť bedrového kĺbu, jeho abnormálne utváranie a vývoj, ktoré v pokročilom štádiu vyúsťuje do artrózy. Aj keď je plemeno československý vlčiak mladé a relatívne zdravé, predsa len sú choroby, na ktoré je náchylnejšie a ktoré sa u neho vyskytujú. Z tých "bežnejších" pre veľké plemená je "dedičstvom" po nemeckom ovčiakovi náchylnosť na dyspláziu, hlavne bedrového kĺbu. Práve toto ochorenie sa sleduje pri vlčiakoch obzvlášť a je podmienkou uchovnenia jeho diagnostikovanie - RTG snímok, ktorý určí stupeň dysplázie.
Na vývoj dysplázie vplýva viacero faktorov, od genetiky cez rýchlosť rastu, obezity, nadmernej záťaže v raste až po mikrotraumy rastových zón a mnoho ďalších. Preto je dôležité eliminovať čo najviac negatívnych vplyvov od výberu rodičov bez známok dysplázie až po kvalitné krmivo pre šteniatka vo fáze rastu. Práve nevyvážené krmivo s vysokou energetickou hodnotou a príliš vysokou hladinou vápnika môže spôsobiť veľa ortopedických problémov. Avšak ani pri tej najlepšej starostlivosti nie je možné vyhnúť sa rozvoju degeneratívnych ochorení bedrových kĺbov.
Dysplázia bedrového kĺbu (DBK) je degeneratívne ochorenie bedrového kĺbu charakterizované nezvratnými zmenami kĺbovej jamky a hlavice stehennej kosti. Jedná sa o dedične podmienené ochorenie, avšak vplyvy vonkajšieho prostredia významne pôsobia na fenotyp bedrového kĺbu. Na vznik DBK má u psov vplyv neprimeraná záťaž, nepriaznivé prostredie (nevhodné podlahy a povrchy) a nesprávna výživa v mladom veku. Ochorenie má rôzne stupne a prejavy.

Plemenná predispozícia a klinické príznaky
Dysplázia bedrového kĺbu (DBK) psov postihuje najmä obrie a veľké plemená, ako nemecký ovčiak, novofundlandský pes, bernský salašnícky pes, mastif, rotvajler, zlatý retriever, labradorský retriever, hovawart, leonberger atď, ale objaviť sa môže u akéhokoľvek plemena. Rovnakou mierou sa vyskytuje u oboch pohlaví. U československého vlčiaka sa dysplázia bedrového kĺbu sleduje obzvlášť a je podmienkou uchovnenia jeho diagnostikovanie.
Príznaky dysplazie bedrového kĺbu (DBK) u psov sú veľmi rôznorodé od opatrnej chôdze, cez rôzne stupne krívania, neochotu vstávať, celkovú neochotu k pohybu, vyhýbavosť voči prekážkam, slabosť zadných končatín. Zhoršenie stavu nastáva po záťaži. Klinické príznaky ochorenia nemusia vždy korešpondovať so stupňom postihnutia, to znamená že napr. aj u zvieraťa s ťažším stupňom môžu byť v začiatkoch klinicky menej výrazné. Naopak aj zviera s miernym stupňom DBK môže vykazovať výrazné odchýlky v mechanike pohybu. Často sa stáva, že majiteľ si v začiatkoch vysvetľuje neochotu k pohybu len lenivosťou, slabším temperamentom, prípadne únavou zvieraťa.
Problémy so vstávaním alebo krívanie psa nemusia byť znakom lenivosti a viditeľné bolesti zadných nôh u psa rozhodne netreba ignorovať. Dysplázia bedrového kĺbu je riziková hlavne v prípade, ak sa už v samotnom chove vyskytla. Dedičná predispozícia je vtedy takmer zaručená a závisí od viacerých faktorov, genetiky, záťaže počas vývoja šteniatka, kvality stravy a celkovej starostlivosti majiteľa, kedy sa ochorenie prejaví.

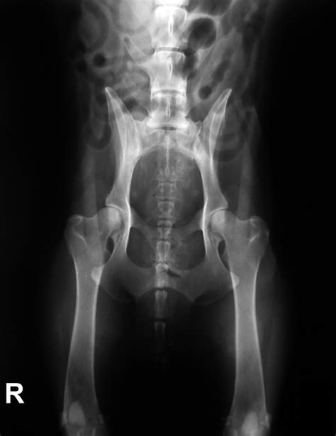
Diagnostika dysplázie
Ochorenie sa dá zdiagnostikovať a určiť stupeň dysplázie jedine RTG vyšetrením vykonanom v celkovej anestézii na oficiálne schválenom RTG pracovisku. Od 12 týždňov veku je možné vykonať tzv. rannú diagnostiku DBK. V prípade podozrenia na dyspláziu sa diagnostika vykonáva ihneď bez ohľadu na vek.
Pri vyšetrení sa sleduje laxicita kĺbov a následne pri rntgenologickom vyšetrení sa meria miera pohyblivosti kĺbovej hlavice ku kĺbovej jamke. Na Slovensku sú momentálne do chovu uznané len psy so stupňom 0 a 1, resp. A 0/0 - B 1/1. Pre účely chovnosti je jedinec vyšetrovaný po dosiahnutí určitého veku (v závislosti od plemena od 12,18, či 24 mesiacov). Po posúdení RTG snímku na chovné účely je vyhodnotený certifikát s výsledkom, ktorý je zároveň zapísaný aj do PP. Na hodnotenie sa u nás (podobne ako vo väčšine európskych krajín) používa 5-stupňový systém, škála hodnotenia je od A - E alebo 0 až 4. Dysplázia bedrového kĺbu sa medzinárodne označuje ako HD (hip dysplasia). Vyhodnocuje sa ľavý i pravý kĺb, zápisy HD 0/0 alebo HD A/A predstavujú zdravé kĺby bez nálezu. Čím vyššie číslo (resp. písmeno), tým vyšší stupeň dysplázie.
Diagnostika môže určiť päť stupňov DBK (bez anomálie - 0, hraničný - 1, ľahký - 2, stredný - 3, ťažký - 4). Prejavy DBK možno pozorovať primárne na správaní psa a jeho pohybe. Vo veľkej miere sa symptómy líšia na základe stupňa laxicity kĺbu či miery zápalu, no neznamená to, že vo vyššom štádiu ochorenia musia byť klinické príznaky intenzívnejšie. Ak je dysplázia u jedinca prítomná, prvé príznaky sa môžu prejaviť už od 2 až 4 mesiacov veku.
Na diagnostiku ochorenia sa používa röntgenové vyšetrenie za pomoci RTG prístroja. Pre komplexné posúdenie stavu bedier je potrebné vyšetrenie vykonať v úplnej anestézii. Anestézia je potrebná z dôvodu uvoľnenia svalov a dosiahnutia najlepšej polohy pre RTG vyšetrenie bedier. Diagnostiku je možné vykonať už od 12 týždňov veku šteniatka. V závislosti od predispozícii a konkrétneho plemena sa vyšetrenie môže opakovať po dosiahnutí 3, 12 alebo 24 mesiacov.

Možnosti prevencie a terapie
V prípade, že sú už príznaky ochorenia rozvinuté, tak bolestivosť je neúnosná. Na potvrdenie, lokalizáciu a určenie miery rozvoja DBK sa vykonáva minimálne RTG vyšetrenie a v niektorých prípadoch sa odporúča CT.
Preventívne zákroky
Chirurgická terapia tzv. juvenilná pubická symfyziodézia JPS spočíva v znefunkčnení rastu v rastovej zóne panvy. Keďže ostatné časti panvy budú rásť normálnou rýchlosťou, dôjde k väčšiemu prekrytiu hlavice stehennej kosti panvou a tým k stabilizácií bedrového kĺbu. Väčšina psíkov má tak zabezpečený život bez dysplázie. V niektorých prípadoch sa môže dysplázia vyskytnúť v neskoršom veku aj napriek zákroku, ale ochorenie je aspoň oddialené a je predĺžený bezbolestný pohyb.
Tento zákrok je nutné vykonať najneskôr do veku 16 týždňov, nakoľko v tomto období dochádza k najrýchlejšiemu rastu panvy. Vo vyššom veku nemusí mať operácia žiadaný benefit. Ak sa toto časové obdobie zameškalo, stále existujú ďalšie možnosti prevencie. Ako každá prevencia DBK, aj táto je časovo ohraničená. Ďalšie vyšetrenie sa vykonáva u mladých psíkov do veku 8 mesiacov.
Ak sa vyskytnú náznaky kĺbovej nestability a vyskakovania bedrovej hlavice z kĺbovej jamky, je potrebné RTG vyšetrenie. Ak je nález na röntgenograme pozitívny a existujú známky nestability, ale žiadne degeneratívne a artrotické zmeny, aj v tomto prípade je jedinou možnosťou prevencie chirurgia.
Vo veku 6-8 mesiacov sú odskúšané možnosti prevencie TPO alebo DOP. Ide o rotáciu jamky bedrového kĺbu v pomere ku hlavici stehennej kosti. Dochádza tak k lepšiemu prekrytiu hlavice stehennej kosti a zamedzeniu jej vyskakovania. Zároveň tiež k zamedzeniu neskoršieho rozvoja DBK alebo úplnému zabráneniu jeho vzniku. Voľba chirurgickej metódy závisí od veku a veľkosti pacienta.
Všetky tri sú preventívne metódy terapie DBK, tzn. že sa musia vykonať ešte pred rozvojom ochorenia.
Terapia pri rozvinutom ochorení
Terapia nie je celkom možná, zväčša sa sústreďuje len na tlmenie príznakov, v každom prípade liečba konzervatívnou i chirurgickou metódou je veľmi nákladná a obtiažna. V prípade zistenia ochorenia rannou diagnostikou je do 7 mesiaca života možná chirurgická liečba formou napr. trojitá osteotómia panvy (TPO), denervácia kĺbového púzdra, či symfisiodézie.
V prípade, že sú už príznaky ochorenia rozvinuté, tak bolestivosť je neúnosná. Na potvrdenie, lokalizáciu a určenie miery rozvoja DBK sa vykonáva minimálne RTG vyšetrenie a v niektorých prípadoch sa odporúča CT.
Na Slovensku je najčastejším spôsobom terapie pri rozvinutej DBK medikamentózny spôsob. Táto liečba nezabráni ďalšiemu rozvoju DBK, ale psíkovi pomáha lepšie zvládnuť bolesť a znižuje zápalovú reakciu v kĺbe. Z dlhodobého hľadiska je finančne náročná a má zlú prognózu.
Pri rozvinutých artrotických zmenách a nadmernej bolestivosti je najlepšou možnosťou resekcia hlavice stehennej kosti. Odstráni sa tak zdroj bolesti a funkciu kĺbu preberie jazvovité tkanivo. Táto možnosť je ohraničená hmotnosťou, pretože u extrémne obéznych a ťažkých zvierat sa neodporúča.
Jednou z posledných metód využívaných vo svete sú tzv. titánové kĺby. V tomto prípade sa postihnutý kĺb nahradí novým titánovým implantátom.
V dospelosti prichádza do úvahy z chirurgických metód výmena bedrového kĺbu za totálnu endoprotézu, prípadne u hmotnostne ľahších jedincov resekcia hlavice stehennej kosti. Po operačnom zákroku je potrebné klásť dôraz na správnu rekonvalescenciu a rehabilitáciu.
Konzervatívna liečba (medikamentózna) spočíva v podávaní nesteroidných antiflogistík, analgetík a vhodných chondroprotektív. Nesmierne dôležité je zabezpečiť postihnutým jedincom primeraný pohyb. To znamená bez preťažovania, vyhýbaním sa skokom, schodom, prudkým náhlym pohybom. Správne manažovaný, kĺby šetriaci pohyb ( napr. na mäkkých povrchoch, či plávanie vo vode) má naopak vzhľadom na posilnenie svalstva pre psa veľký benefit. U jedincov s nadváhou je potrebná redukcia hmotnosti.
CCL Tears and How a TPLO Surgery Works
Rehabilitácia a starostlivosť
Dôležitou súčasťou manažmentu dysplázií je rehabilitácia. V raste je dysplázia chirurgická diagnóza a fyzioterapia sa po zákroku zameriava na posilnenie podporných štruktúr kĺbu a posilnenie svalov. U dospelých psíkov je fyzioterapia prioritná. Jej cieľom je predĺžiť bezbolestný a aktívny život bez nutnosti užívania liekov proti bolesti a oddialiť chirurgický zákrok.
Nevyhnutné je udržiavať správnu hmotnosť. Ako ideálne riešenie tréningu dysplastických psov sa osvedčil vodný trenažér, ktorý máme k dispozícií aj vo veterinárnej nemocnici Anima.
Pri výskyte podozrenia na dyspláziu je potrebné absolvovať RTG vyšetrenie na skoré zachytenie ochorenia. Ak teda pozorujete príznaky, čím skôr sa objednajte a náš veterinárny lekár vášho psíka vyšetrí a zaháji príslušnú liečbu.
Pri akomkoľvek krívaní je na mieste zabezpečiť psovi teplo, kľud, minimálny pohyb. Vlčiak je však plemeno neposedné, preto ho musíme k oddychu doslova "nútiť".
Prevencia spočíva v používaní len negatívnych jedincov v chove, v správnej výžive, v zabezpečení vhodného prostredia a nepreťažovania mladých jedincov. Počas vývoja je vhodné preventívne podávať chondroprotektíva so zložením určeným pre mladé rastúce jedince.
Na dyspláziu sú náchylné predovšetkým veľké psy, obľúbené plemená psov, prešľachtené plemená psov. Určenie diagnózy komplikuje skutočnosť, že dysplázia nemá špecifické príznaky, ktoré by boli špecifické pre toto ochorenie. V staršom veku dokáže pes s dyspláziou vstať len s vynaložením námahy, ale po krátkom čase sa jeho kĺby zahrejú a pohyb sa približne normalizuje.
Pri dlhodobej podvýžive môže pes chradnúť, zaostávať v raste, byť menej aktívny a privodiť si iné choroby. Preto je potrebné psovi zabezpečiť plnohodnotnú potravu bohatú na živiny. Kŕmenie československého vlčiaka surovým mäsom a kosťami je pre neho najprirodzenejší spôsob. Pri pestrej kŕmnej dávke zloženej z 50 - 60 % mäsa, 20 - 30 % kostí, 20 - 30 % príloh, pes prijme dostatočné množstvo živín na krytie denných požiadaviek.
Chov ČsV a DBK: Podmienkou uchovnenia československého vlčiaka je aj vyšetrenie na toto ochorenie. Vyhodnotenie robí len jeden veterinár na Slovensku, aby zostalo objektívne. Vyšetrenie sa robí pomocou RTG, je bezbolestné. Snímky sa zhotovujú z oboch kĺbov, ako u DBK, tak u DLK, jednak pre porovnanie kĺbov a tiež, že je vysoko pravdepodobné, že poškodené sú oba kĺby.

Dysplázia je dedičné ochorenie, ktoré spôsobuje, že kĺby nedržia tak pevne, ako by mali. Ide o abnormálny rast hlavice a jamky kĺbu. Spôsobuje to u psa bolesti a tuhosť zadných nôh, takže pohyb je namáhavý a nepríjemný. Československý vlčiak patrí medzi plemená náchylné na toto ochorenie. Dyspláziu označujeme ako DBK - dysplázia bedrového kĺbu alebo DLK - dysplázia lakťového kĺbu.
Genetika vplýva na dyspláziou zo 60 - 80%, zvyšok prostredie a výživa psa. Najdôležitejším obdobím vývoja chrupaviek je cca do 9 mesiaca, dysplázia vzniká najčastejšie medzi 4 - 6 mesiacom. Ďalšou štatistikou je, že pri oboch rodičoch negatívnych na DBK či DLK sa rodí 80% zdravých psov a 20% s náchylnosťou na ochorenie. Pri príznakoch DBK či DLK u jedného, či oboch rodičov je to naopak. V štatistike sú rozdiely a niektoré zdroje uvádzajú až 30% predpoklad. Je nutné testovať nie len chovné jedince, ale aj ich potomkov, aby sa ukázal aj faktor dedičnosti a prenášania predispozície dysplázie.
Šteňatá sa nenarodia s dyspláziou, ale môžu sa narodiť so sklonom k nej. Zmeny môžu byť postupné, ale aj očividné. Uvoľnené kĺby môžu po čase spôsobiť odieranie kostí, čo môže viesť k bolestivej forme artritídy. Pes kríva a snaží sa nezaťažovať končatinu.
Pri zistení dysplázie ťažšieho stupňa, je dobré psovi poskytnúť dostatok tepla, napríklad masážami kĺbov, kľudu a oddychu. Nezaťažovať ho dlhými prechádzkami, najlepšie je 5 krátkych prechádzok denne. Je na mieste odstránenie obezity, ak ju pes má. Niektorí psi sa musia "rozhýbať", odstrániť stuhlosť kĺbov, pred samotnou vychádzkou. Pravidelný pohyb je však nutný. Výborné je plávanie. Odporučiť môžeme aj chondroprotektíva, výživové doplnky na kĺby.
tags: #ceskoslovensky #vlciak #dysplazia #klbov